Baulandangebote in der Marktgemeinde Heiligenstadt i. OFr.
Liebe Baulandinteressierte,
der Markt Heiligenstadt i. OFr. möchte Bauinteressenten die Suche nach einen geeigneten Bauplatz in der Marktgemeinde erleichtern. Wir können Sie ab sofort über unbebaute Bauplätze informieren. Wir haben die Bauplätze, die zum Verkauf anstehen, erfasst. Sie finden hier geeignete Grundstücke mit Flurnummer, Gemarkung, Eigentümer, Größe und Lage der Grundstücke.
Falls Sie Fragen zu den einzelnen Baugrundstücken haben, bitten wir Sie, dass Sie sich direkt mit dem Eigentümer in Verbindung setzen. Wir treten mit unserem Service nicht als Grundstücksmakler auf, sondern wollen nur Hinweise geben. Die Veröffentlichung der Daten ist mit dem jeweiligen Grundstückseigentümer abgesprochen. Wir übernehmen keine Haftung für die Richtigkeit, Vollständigkeit oder Aktualität der wiedergegebenen Informationen.
Wir wünschen Ihnen viel Erfolg bei der Suche nach einem Bauplatz in unserer Marktgemeinde.
Mit freundlichen Grüßen
Krämer
1. Bürgermeister
Bauplätze in Heiligenstadt |
Fl.Nr. 481/3, Gem. Heiligenstadt
Lage: Helmut-Schatzler-Straße 1
Größe: 859 qm
Verkäufer: Markt Heiligenstadt i. OFr.
Marktplatz 20, 91332 Heiligenstadt
Telefon: 09198 / 92 99 - 21
Fl.Nr. 481/7, Gem. Heiligenstadt
Lage: Am Friedhof 6
Größe: 881 qm
Verkäufer: Markt Heiligenstadt i. OFr.
Marktplatz 20, 91332 Heiligenstadt
Telefon: 09198 / 92 99 - 21
Lage: Am Friedhof 8
Größe: 787 qm
Verkäufer: Ute Löffler
Am Friedhof 9, 91332 Heiligenstadt
Telefon: 09198 / 99 76 06
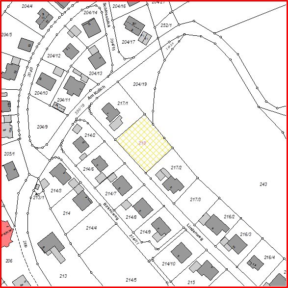
Fl.Nr. 218, Gem. Heiligenstadt
Lage: Lindenweg 3
Größe: 1205 qm
Verkäufer: Alfred Hahn
Bunsenstraße 64, 91058 Erlangen
Telefon: 09131 / 63 76 4
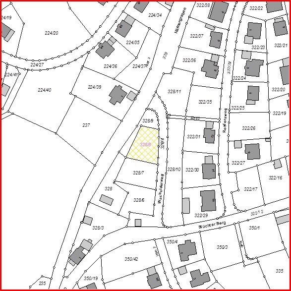
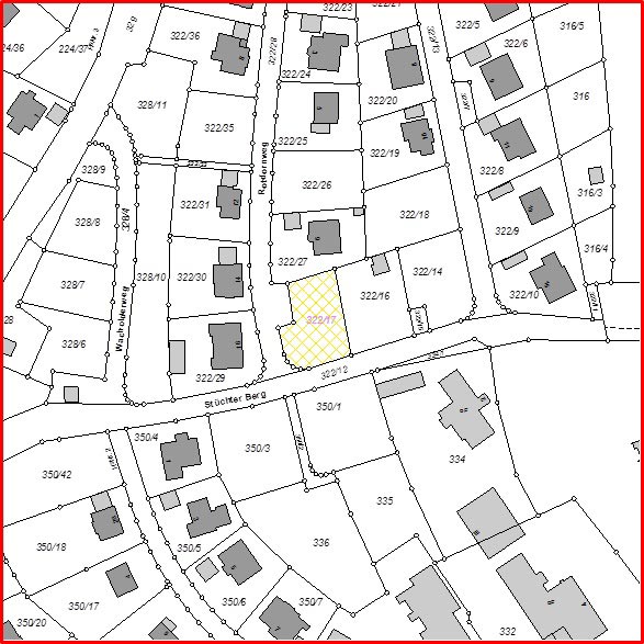
Fl.Nr. 322/17, Gem. Heiligenstadt
Lage: Stüchter Berg
Größe: 725 qm
Verkäufer: Elisabeth Böttler
Dürrenloher Straße 30, 95111 Rehau
Mobil: 0160 / 80 88 85 5
Lage: Wacholderweg
Größe: 652 qm
Verkäufer: Dagmar Saalmüller-Hofmann
Harrlacher Straße 46h, 90453 Nürnberg
Telefon: 0911 / 64 15 51 62
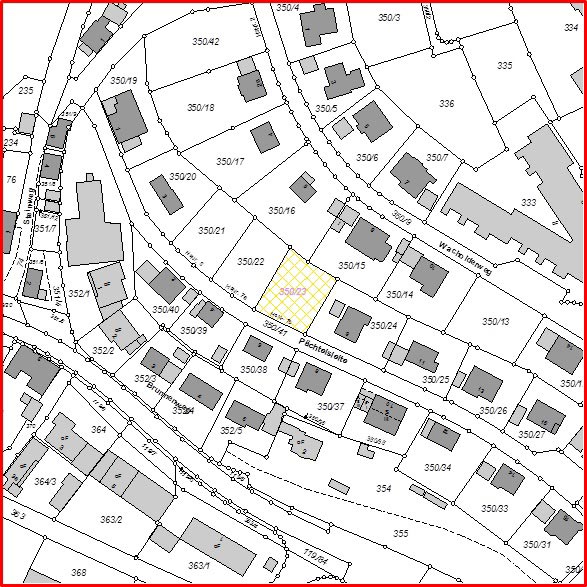
Fl.Nr. 350/23, Gem. Heiligenstadt
Lage: Pächtelsleite
Größe: 655 qm
Verkäufer: Andrea Herbst
Birkenweg 11, 91364 Unterleinleiter
Telefon: 0151 / 20 74 37 33
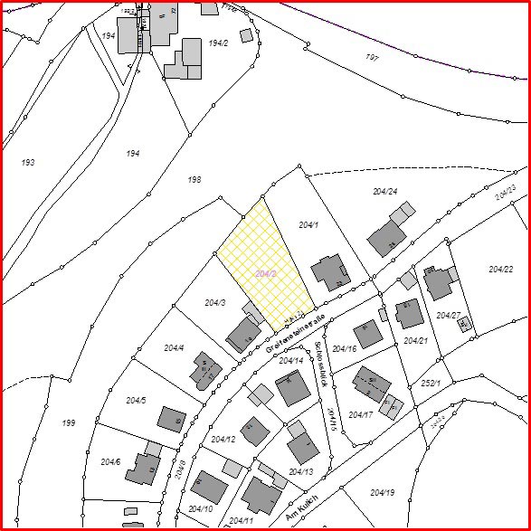
Fl.Nr. 204/2, Gem. Heiligenstadt
Lage: Greifensteinstraße 21
Größe: 1387 qm
Verkäufer: Klaus Bezold
Hollfelder Straße 21, 96167 Königsfeld
Telefon: 0170 / 280 33 22
Fl.Nr. 204/22, Gem. Heiligenstadt
Lage: Greifensteinstraße
Größe: 1904 qm
Verkäufer: Anselm Czernik
Helmut-Schatzler-Str. 12, 91332 Heiligenstadt
Telefon: 0151 / 28901059
Mail: anselm.czernik@t-online.de
Bauplätze in Siegritz |
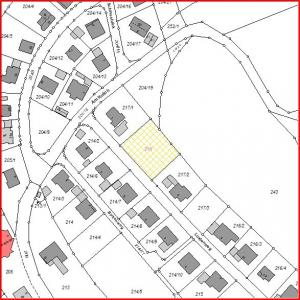
Fl.Nr. 86, Gem. Siegritz
Lage: In Siegritz
Größe: 4358 qm
Verkäufer: Markt Heiligenstadt i. OFr.
Marktplatz 20, 91332 Heiligenstadt
Telefon: 09198 / 92 99 - 21
Bauplätze in Lindach |
Fl.Nr. 62/5, Gem. Lindach
Lage: In Lindach - Buchenstaude
Größe: 670 qm
Verkäufer: Markt Heiligenstadt i. OFr.
Marktplatz 20, 91332 Heiligenstadt
Telefon: 09198 / 92 99 - 21
Bauplätze in Oberleinleiter |
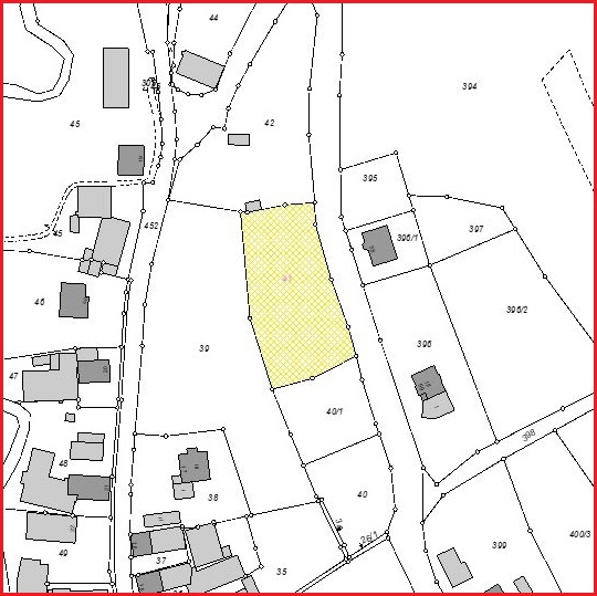
Fl.Nr. 39, Gem. Oberleinleiter
Lage: In Oberleinleiter
Größe: 4878 qm
Verkäufer: Heinz Hofmann
Oberleinleiter 21, 91332 Heiligenstadt
Telefon: 09198 / 715
Fl.Nr. 41, Gem. Oberleinleiter
Lage: In Oberleinleiter
Größe: 2336 qm
Verkäufer: Karl Heinz Krasser
Oberleinleiter 15, 91332 Heiligenstadt
Telefon: 09198 / 1291
Vorherige Seite: Bodenrichtwerte
Nächste Seite: Energie und Umwelt













